
Furacão Melissa ganhou força, supera em intensidade o Katrina de 2005 e vai atingir entre hoje e amanhã a Jamaica com vento de até 300 km/h e chuva extraordinária que pode causar devastação na ilha caribenha. Trata-se de um furacão catastrófico e um dos mais intensos da história moderna.
O tempo para se preparar na Jamaica literalmente chegou ao fim e milhões de jamaicanos estão abrigados e em oração enquanto o furacão Melissa inicia sua ofensiva catastrófica e histórica sobre o país como o pior furacão a atingir até hoje o país. O governo jamaicano vinha alertando há dias para que a população fizesse estoques de comida e água, diante da expectativa de longas falhas no fornecimento de energia e comunicação.
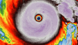
Com ventos sustentados de 280 km/h e rajadas acima de 300 km/h, Melissa atingiu a categoria 5, o nível máximo na escala de intensidade, e pode provocar “falha estrutural total” em áreas próximas ao olho do furacão, segundo autoridades. O fenômeno se move lentamente sobre águas muito quentes ao Sul da Jamaica e vai atravessar a Jamaica de Sul para Norte. Antes mesmo do impacto direto, o furacão já causou destruição e mortes. Três pessoas morreram durante os preparativos, segundo o ministro da Saúde, Christopher Tufton — duas ao cortar árvores e uma por eletrocussão. Há também relatos de feridos em quedas e acidentes de trânsito.
Mais de 800 abrigos estão disponíveis, mas apenas 76 estavam ocupados na noite de segunda-feira, conforme o primeiro-ministro Andrew Holness, que reforçou que “os abrigos são gratuitos e seguros”. A tempestade é um monstro, literalmente uma besta na atmosfera. O furacão Melissa continuou ontem a se intensificar no Caribe ao Sul da Jamaica nas últimas horas e a sua pressão central caiu para 901 milibares (mb). A intensidade dos furacões nos rankings é medida não pelo vento, mas por quão baixa é a sua pressão central, o que faz de Melissa um dos mais violentos e intensos furacões da história do Atlântico. A pressão central do furacão Melissa caiu para 901 milibares, tornando-o o sexto furacão mais intenso já registrado no Atlântico desde que as medições de pressão passaram a ser feitas de forma consistente em 1979. Essa queda coloca Melissa entre os ciclones mais poderosos da história moderna, ao lado de sistemas como Wilma, em 2005, que atingiu 882 mb; Gilbert, em 1988, com 888 mb; Milton, em 2024, e Rita, em 2005, ambos com 895 mb; e Allen, em 1980, com 899 mb. O novo valor registrado deixa Melissa logo à frente de Katrina, que em 2005 alcançou 902 mb, e reforça o caráter extremo e potencialmente devastador da tempestade. O último boletim do Centro Nacional de Furacões dos Estados Unidos informa ventos sustentados de 282 km/h com rajadas acima de 300 km/h. Uma sonda lançada de um avião caça-furacões da NOAA no interior do violentíssimo furacão ontem captou rajada de 386 km/h a apenas 100 metros de altitude. O Centro Nacional de Furacões (NHC) emitiu um alerta dramático para a Jamaica, pedindo que a população não saia dos abrigos. O órgão alerta para inundações súbitas catastróficas por maré de tempestade e chuva acima de 1000 mm, deslizamentos de terra generalizados e potencialmente fatais, e colapso estrutural total de estruturas que se traduz como áreas inteiras serem varridas do mapa.
MetSul Metereologia

De Segundas a sextas:
• Das 9h às 12h e das 14h às 17h
Atendimento somente pelos telefones: